Ελευθέριο - Κορδελιό: Πληρώνουν ΕΝΦΙΑ αλλά δεν μπορούν να αξιοποιήσουν την περιουσία τους λόγω SEVESO. Ερώτηση Θ. Καραογλου
Ερώτηση αρ 1011 κατέθεσε ο Θ. Καράογλου, βουλευτής της Ν.Δ. Β' Θεσσαλονίκης, πριν λίγες ημέρες προς τα υπουργεία
Εσωτερικών, Οικονομικών, Περιβάλλοντος και Ενέργειας με την οποία:
"αιτείται την απαλλαγή από τον ενιαίο φόρο ιδιοκτησίας
ακινήτων (ΕΝΦΙΑ) για τους ιδιοκτήτες οικοπέδων στις περιοχές της Δημοτικής
Ενότητας Ελευθερίου_Κορδελιού που δεν μπορούν να αξιοποιηθούν είτε γιατί δεν
μπορούν να οικοδομηθούν, είτε διότι είναι ήδη χαρακτηρισμένα ως κοινωφελείς ή
κοινόχρηστοι χώροι."
Με την ερώητηση
κατατέθηκε έγγραφο του δημάρχου Κορδελιού Ευόσμου κ Πέτρου Σούλα με το οποίο
ζητεί τις μειωμένους συντελεστές έως ότου λυθεί το πρόβλημα.
η απάντηση του υπουργείου Εσωτερικών
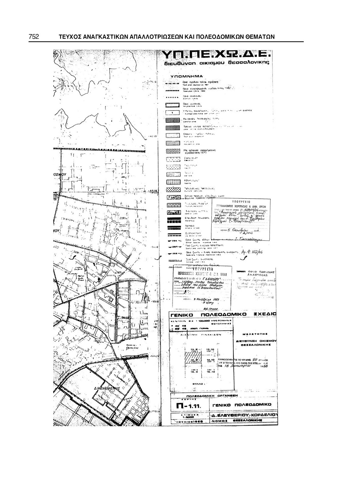
το ΦΕΚ και οι χάρτες της περιοχής









